Went to Sunset House today. They have an Indian restaurant there called SeaHarvest. It was delicious. Also, Sunset house is a good place to go scuba diving. The appeal of Sunset House is that they sank a metal statue of a Mermaid. Unfortunately, we were unable to find it! Oh well. Now there's a reason to go back. It's a pretty deep dive site. Most of the time was spent at about 60 ft.
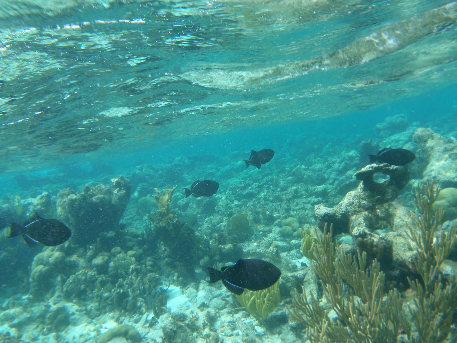
Here's a gray angel fish. The picture turned up fine because this fish does not have many colours. The thing about photographing at a depth of 60 ft is that blue seems to be the only colour that makes it down that far. I guess expensive underwater photography uses lights and special flashes.This was one of the first noteworthy things I saw on the dive. It's a school of surgeon fish. Looks like there's a grouper hanging out there too.
Spotted this little barracuda hanging out in the reef.
This fish it one of my favorites. It's a trumpet fish. The trumpet fish is a solitary ambusher of small fishes and crustaceans.
I believe this fish to be a queen parrot fish. Notice how there's no red in the picture. The yellow also seems absent. In the future I could use a red filter, a better flash, or more exposure compensation. I tried some post-editing using photoshop but, my photoshopping skills are lacking (so is free time), therefore, you see the pictures just as my camera takes them.
Here is a great specimen of a honeycomb cowfish. You can tell it's a cowfish and not a trunkfish because it has two spikes on its head. Looks like a tasty one.
This is a bicolor basslet. I guess the flash on my camera was working as the yellow was captured nicely. That's it for this dive. Enjoy the following video of a bunch of different fish swimming around some coral.One last note about underwater photography: to photograph this dive I was using my Stylus Tough 8100. The camera is only supposed to be used up to 33ft but I brought it down to 60ft. At 60 ft the camera stopped working. The lens cover wouldn't open when I turned the power on. So, I swam up to about 50ft and then it started working again. It didn't break which is pretty sweet! I'd be worried to bring it any deeper though. The LCD view finder looked distorted and I was worried that I had ruined the camera.









